1ª Publicação
EDITAL DE LOTEAMENTO – COMARCA DE LEOPOLDINA
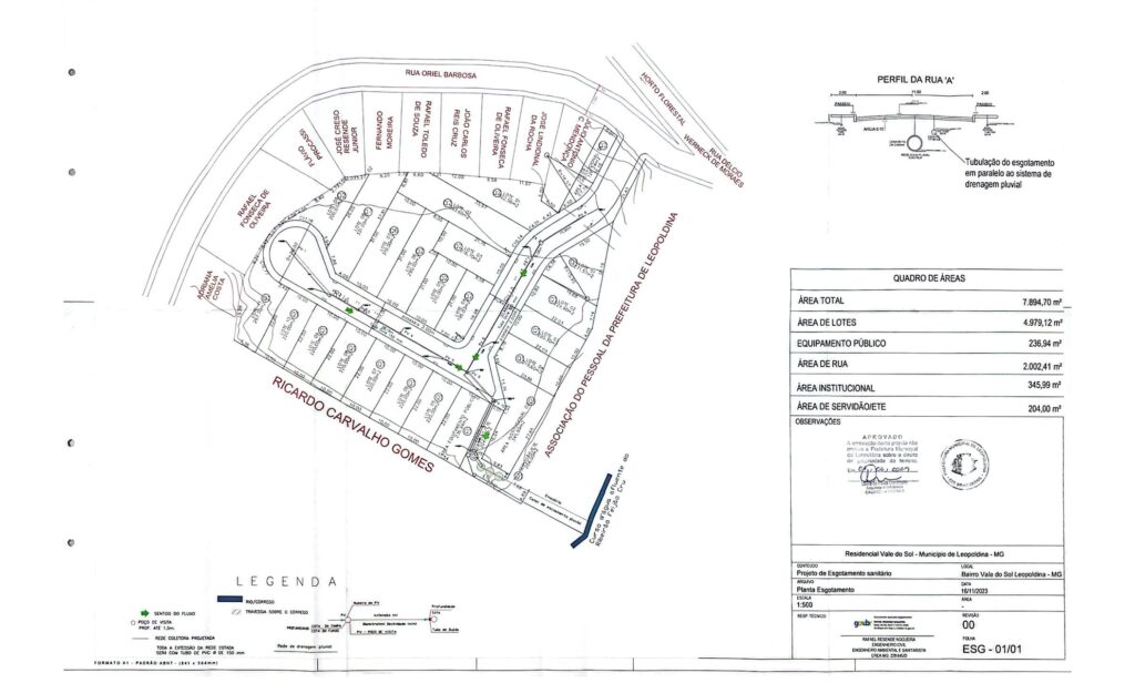
MAURO SÉRGIO FÓFANO JÚNIOR, Escrevente Substituto do Cartório de Registro de Imóveis desta Comarca de Leopoldina, Estado de Minas Gerais, em pleno exercício de seu cargo, na forma da Lei, faz saber a todos quantos o presente Edital virem ou deles conhecimento tiverem que JOÃO RICARDO MOTHÉ FERNANDES, brasileiro, engenheiro, portador da Carteira de Identidade n° M-942.409, expedida pela SSP/MG, inscrito no CPF sob o n° 157.737.796-68, casado pelo regime da comunhão de bens, antes da Lei Federal nº 6.515/77, com MARTA DE FÁTIMA MORAES FERNANDES, brasileira, aposentada, portadora da Carteira de Identidade n° M-2.893.933, expedida pela SSP/MG, inscrita no CPF sob o n° 661.731.676-20, residentes e domiciliados na Rua Delfim Moreira, n° 199, Apt°. 1.200, Centro, na cidade de Juiz de Fora-MG, requereu o registro do loteamento denominado RESIDENCIAL VALE DO SOL, localizado na Rua Oriel Barbosa, Bairro Vale do Sol, nesta cidade de Leopoldina-MG, CEP: 36706-056. A documentação exigida para o registro do citado loteamento acha-se depositada neste Cartório, situado na Rua Presidente Carlos Luz, nº 699, 3º Andar, Sala 302, Edifício Dona Luzia, Centro, nesta cidade de Leopoldina-MG, CEP: 36700-052. Origem: Matrícula nº 42.919, aberta em 08/05/2023. ÁREA TOTAL DO IMÓVEL OBJETO DA IMPLANTAÇÃO DO LOTEAMENTO: 7.894,70m² (sete mil, oitocentos e noventa e quatro metros e setenta decímetros quadrados) de terreno. Desta área, 4.979,12m² destina-se aos LOTES num total de 20 (vinte), assim discriminados: QUADRA A, lotes 01 a 11; e, QUADRA B, lotes 01 a 09. ÁREA INSTITUCIONAL 01: 126,24m²; ÁREA INSTITUCIONAL 02: 345,99m²; ÁREA DE SERVIDÃO/ETE: 204,00m²; ÁREA DE EQUIPAMENTO PÚBLICO: 236,94m²; e, SISTEMA VIÁRIO (Rua Projetada e passeio) com 2.002,41m². O mencionado projeto de loteamento foi aprovado pela Prefeitura Municipal desta cidade de Leopoldina em data de 07/06/2024. As impugnações daqueles que se julgarem prejudicados deverão ser apresentadas neste Cartório no prazo de 15 (quinze) dias a contar da data da terceira e última publicação do presente Edital. Findo o prazo e não havendo impugnação, o registro será efetuado de imediato. Os documentos acima citados ficam à disposição dos interessados neste Cartório durante as horas regulamentares, ou seja, de 08h às 11h, e, de 12:30h às 18h, de 2ª a 6ª feira, em dias úteis. Dado e passado nesta cidade e Comarca de Leopoldina, Estado de Minas Gerais, aos 15 de janeiro de 2025. O Escrevente Substituto: (a)Mauro Sérgio Fófano Júnior.









